成功案例
 400-800-9259
                    
  有疑惑,請問有什么可以幫您?
蘭溪億禾科技有限公司
來源:必旺智能2025-09-01
公司介紹:
蘭溪億禾科技有限公司成立于2022年11月29日,主要生產剃須刀、刀片、注塑件等產品。年銷售額超5000萬。因業務拓展,產能擴大,目標營業額預計將達一億以上,且將引進全自動化生產設備,需整體搬遷至新建廠房,因此啟動精益布局項目,項目周期短,工序復雜,除設備布局外需全面考慮水電氣等施工因素。
 
項目內容:
上海博革咨詢從2025年7月入場提供精益布局咨詢服務,從產能需求入手,結合目視化及參觀需求,開展了工藝流程分析、設備稼動率分析、參觀路線設計、產品PQ分析、全自動生產線規劃、特殊設備工藝需求及安環分析、物流路線、電梯負荷、水電氣路線及橋架搭建設計等服務項目。并對工廠組織架構、基礎6S目視化管理、效率、品質、成本管理等多維度管理內容提出了優化改善建議。
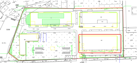
功能區域確定:
 
輔助設施規劃:
 
項目成果:
進行了科學分區,使生產流程更順暢,產能提升約 30%。
針對多行業產品設計,優化了研發布局,加速產品迭代。
有力推動公司在各行業市場份額穩步增長。
成功案例
選擇上海必旺
開啟您的智能制造模式 ,加速企業數字化轉型
免費獲取方案報價
(1)_20230519.png)

400-800-9259

.jpg)

返回列表




